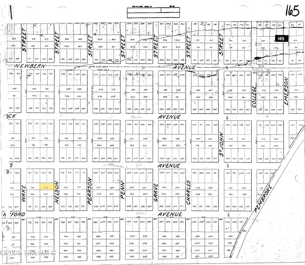
2204 Nelson Street, New Bern, NC

$6,500

Previous Next

0.12

Acres

About 2204 Nelson Street

Opportunity awaits in the heart of historic Pembroke. Two adjacent residential lots—2204 and 2206 Nelson Street—offer a chance to own land in one of New Bern's most culturally significant neighborhoods. Pembroke traces its roots to the city's early expansion and has long been a symbol of community strength, heritage, and perseverance. The neighborhood's grid-like layout reflects early 20th-century Swiss planning, while the streets themselves hold generations of untold stories. For the buyer with vision, these lots represent more than a real estate investment; they're a chance to contribute to the ongoing narrative of a place that matters. Whether your goal is thoughtful infill housing, a personal residence, or long-term holding, this location offers meaningful potential. The community comes together at the Pembroke Community Center, which hosts events for the neighborhood and larger New Bern community. Access to city utilities, close proximity to downtown New Bern, and a strong sense of place make these properties both practical and powerful. Be part of the next chapter in Pembroke—where honoring the past and investing in the future go hand in hand.

Features of 2204 Nelson Street

MLS® # 100521787
Price $6,500
Acres 0.12
Type Land
Sub-Type Residential Land
Status Active

Community Information

Address 2204 Nelson Street
Subdivision Pembroke
City New Bern
County Craven
State NC
Zip Code 28562

Amenities

Amenities None
Is Waterfront No
Waterfront None
Has Pool No

Interior

Fireplace No

Exterior

Lot Description Dead End, Subdivided, Suburban, Wooded

School Information

Elementary A. H. Bangert
Middle H. J. MacDonald
High New Bern

Additional Information

Date Listed July 28th, 2025
Days on Market 18
Zoning RES
Foreclosure No
Short Sale No
RE / Bank Owned No

Listing Details

OfficeSTANDARD REALTY CO.

Listing Map

Request a Showing

Provide a valid email address.
When would you like to view this property?