About 0 N Columbia Avenue
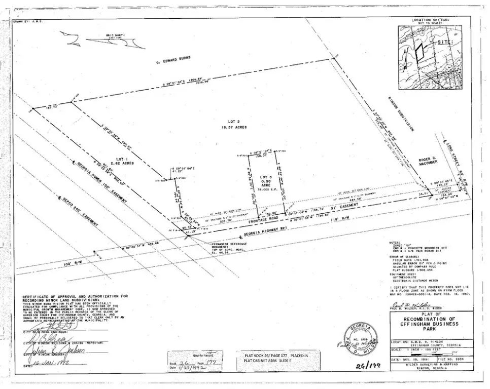
Lot 3 in Effingham Business Park is for sale. GA DOT 2023 traffic count shows 26,500 cars pass by this location daily so great visibility in a desired, high-traffic area! This ready-to-build commercial pad has great road frontage of 130 ft visible from Highway 21 in the heart of Rincon, near the YMCA off Patriot Dr. Ready for commercial development. Approximately 1 acre zoned general commercial at .90 acre total. In the City Limits of Rincon with Rincon water and sewer. Lot is 130 feet wide in the front, 130 feet wide in the back, and 300 feet on both sides. So many desirable uses in such a high-traffic area!
Features of 0 N Columbia Avenue
| MLS® # | SA323530 |
|---|---|
| Price | $289,900 |
| Acres | 0.90 |
| Type | Commercial Sale |
| Sub-Type | Land |
| Status | Active |
Community Information
| Address | 0 N Columbia Avenue |
|---|---|
| City | Rincon |
| County | Effingham |
| State | GA |
| Zip Code | 31326 |
Amenities
| Utilities | Underground Utilities, Sewer Not Available |
|---|---|
| Is Waterfront | No |
| Has Pool | No |
Interior
| Fireplace | No |
|---|
Exterior
| Lot Description | Level |
|---|
Additional Information
| Date Listed | December 18th, 2024 |
|---|---|
| Days on Market | 400 |
| Zoning | GC |
| Foreclosure | No |
| Short Sale | No |
| RE / Bank Owned | No |
Listing Details
| Office | Keller Williams Coastal Area P |
|---|
